Ház
Origó
HázOrigoval pont a központban

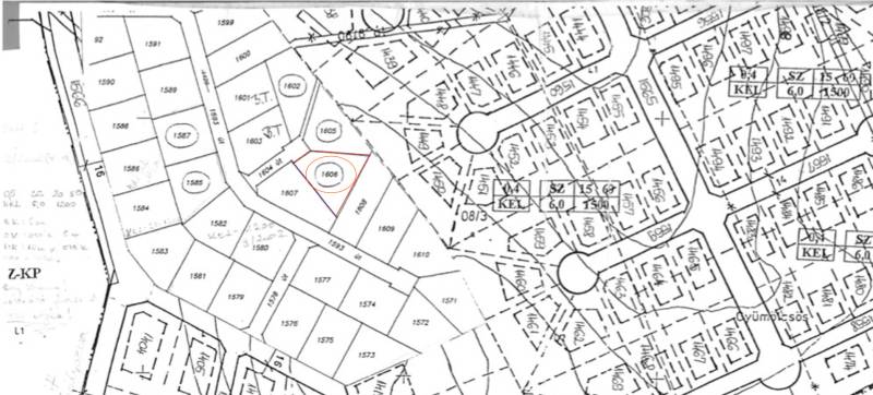
Pest megye, Tinnye


 

Ingatlan adatai

Irányár: 34 900 000 Ft
Típus: telek
Kategória: eladó
Alapterület: 1 506 m2
Fűtés: -
Állapota: -
Szobák száma: -
Építés éve: -
Szintek száma: -

Részletes leírás

ÖRÖK PANORÁMÁS ÉPÍTÉSI TELEK TINNYÉN – A TERMÉSZET KÖZELSÉGÉBEN, A JÖVŐ BIZTONSÁGÁVALTinnye szívében, a közkedvelt Királyvölgy Lakópark festői környezetében kínálunk eladásra egy 1506 m²-es, összközműves, elvehetetlen örök panorámával rendelkező építési telket.Ez a különleges ingatlan nem csupán egy üres telek, hanem egy kivételes lehetőség – életminőségben, befektetési potenciálban és természeti adottságokban is páratlan. A telek a Pilis, a Budai-hegység és a Gerecse lenyűgöző vonulataira nyújt zavartalan kilátást, miközben a környezet csendes, békés, és friss levegőjű – tökéletes otthonteremtéshez vagy hosszú távú befektetéshez.A TELEK FŐBB JELLEMZŐIMéret: 1506 m²15% beépíthetőség6 méter építmény magasság0,4 a szintterületi mutatóKözművek a telken: villany, víz, gáz, csatornaPanoráma: örök, zavartalan kilátás a környező hegyekreJogilag rendezett, tehermentes, azonnal birtokba vehetőLOKÁCIÓ ÉS ÉLETMÓDA telek elhelyezkedése egyszerre nyújt nyugalmat és kiváló elérhetőséget:Mindössze 30 perc Budapesttől autóvalGyorsvasúti kapcsolat a Nyugati pályaudvarral (Piliscsaba állomás 10 perc autóval)Közel a természethez – túraútvonalak, dombok, erdők, valamint a népszerű Garancsi-tó és az ikonikus Üvegtigris büfé pár percreKiváló infrastruktúra: bolt, orvosi rendelő, óvoda és általános iskola helybenCSOK Plusz kompatibilis – ideális fiatal családok számára isMIÉRT EZ A TELEK?Befektetésnek is ideális – a környék dinamikusan fejlődik, az ingatlanárak folyamatosan emelkednekModern környezet – újépítésű, igényes házakkal körülvett területZöldotthon lehetősége – a természet közelsége és a nagy telekméret lehetővé teszi környezettudatos otthon kialakításátIkerház építésére is alkalmas – rugalmas tervezési lehetőségekEz a telek nem csupán egy földdarab, hanem egy életstílus: nyugalom, panoráma, természetközeli élet és mégis könnyű elérhetőség Budapest irányába. Legyen szó saját családi otthon megvalósításáról vagy hosszú távú befektetésről – itt az alkalom, hogy megalapozza jövőjét Tinnye egyik legszebb részén.Keressen bizalommal, szívesen segítek a további kérdésekkel, megtekintéssel vagy a tervezés első lépéseiben is.Fedezze fel, mit jelent az, amikor az otthona egy lélegzetelállító kilátással kezdődik.

További adatok

Telekterület: 1 506 m2
Kert mérete: -
Erkély mérete: -
Felszereltség: -
Parkolás: -
Kilátás: -
Egyéb extrák:  
-

Hirdető adatai

Hirdető neve: Rock Home
Kapcsolattartó: Balogh Csaba
Hirdető telefonszáma: +36 70 412 5733
Honlap: -