Ház
Origó
HázOrigoval pont a központban

Pest megye, Tinnye


 

Ingatlan adatai

Irányár: 119 900 000 Ft
Típus: ház
Kategória: eladó
Alapterület: 133 m2
Fűtés: -
Állapota: új
Szobák száma: 4+1
Építés éve: 2025
Szintek száma: -

Részletes leírás

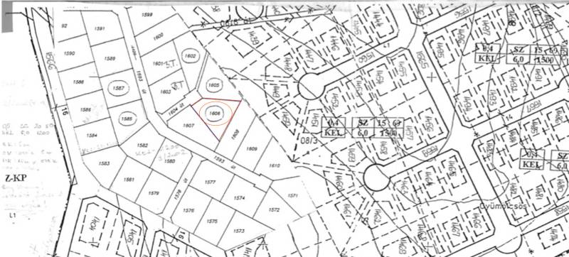
Örökpanorámás, prémium családi ház a természet ölén – Tinnye Királyvölgyi lakóparkjábanEgy különleges otthon, ahol a kényelem, a fenntarthatóság és a természet közelsége találkozik.Tinnye egyik legkedveltebb, nyugodt, mégis gyorsan fejlődő részén, a Királyvölgyi lakóparkban kínálunk eladásra egy kivételes adottságú, új építésű családi házat, amely minden igényt kielégítő kényelmet és korszerű műszaki megoldásokat kínál. Ez az ingatlan ideális választás családok számára, de kiváló befektetési lehetőségként is megállja a helyét.Lenyűgöző környezet – örök panoráma a hegyekreAz 1506 m²-es, gondosan karbantartott kert a Pilis, a Budai-hegység és a Gerecse harmonikus ölelésében helyezkedik el, garantálva a zavartalan, örökpanorámás kilátást. A kristálytiszta levegő, a csend és a környező erdők közelsége ideális helyszínt biztosít a nyugodt, egészséges élethez – legyen szó otthonteremtésről vagy hosszú távú befektetésről.Az ingatlan főbb jellemzői:Telekméret: 1506 m²Beépíthetőség: 15%Építménymagasság: 6 méterSzintterületi mutató: 0,4Közművek: víz, villany, gáz, csatorna – telken belülJogilag rendezett, tehermentes, azonnal birtokba vehetőLakótér és elrendezés:Hasznos alapterület: 133 m²Szobák: 4 teljes méretű hálószoba + 1 félszobaFürdőszobák: 2, modern kialakítássalAmerikai stílusú nappali-konyha étkezővel és konyhaszigettelVilágos, napfényes belső terekBővíthető kialakításKiemelt extrák és műszaki tartalom:Ácsolt fa födém láng- és gombamentesítő kezelésselPorotherm falazat (külső: 30 N+F, válaszfal: 10 N+F)Lépésálló hőszigetelés (10 cm AT-N100)3 rétegű, 7 kamrás hőszigetelt nyílászárókPadlófűtés + légkondicionálás – teljes házbanPrémium laminált padló, modern beltéri ajtókOkosotthon rendszer, riasztórendszerTeljes elektromos és vízhálózat kiépítveNapelem rendszer telepítésében is segítünkÁr garancia a teljes kivitelezési időszakra (8–12 hónap)Egyedi igények alapján testre szabható – az Ön elképzelései szerint valósul meg az otthonaElhelyezkedés és infrastruktúra:Budapest mindössze 30 perc autóvalPiliscsaba vasútállomás (Nyugati pu. gyorsvasút) – 10 perc távolságraKözelben: óvoda, iskola, bolt, orvosi rendelőTermészeti látnivalók: Garancsi-tó, Üvegtigris büfé, túraútvonalakTömegközlekedés és ellátottság kiválóEz az ingatlan több, mint otthon – egy életstílusEgy hely, ahol a modern technológia, a magas szintű kivitelezés és a természet szeretete egyensúlyban van. Egy olyan környezet, ahol a gyermekek biztonságban játszhatnak a kertben, a szülők pedig élvezhetik a nyugodt hétvégéket a teraszon vagy a természetben.Tehermentes, CSOK Plusz-kompatibilis, így fiatal családok számára is elérhető választás. Ez az ingatlan a Pilis, a Budai-hegység és a Gerecse lenyűgöző vonulataira nyújt zavartalan kilátást, miközben a környezet csendes, békés, és friss levegőjű – tökéletes otthonteremtéshez vagy hosszú távú befektetéshez hiszen jelenleg a térség dinamikusan fejlődik így a telek árak rohamosan nőnek. Ne késlekedj felvenni velem a kapcsolatot Ha szeretne egy igazán különleges, jövőálló otthonban élni – amelyet akár saját elképzelései szerint formálhat – akkor ne habozzon felvenni velünk a kapcsolatot! Szívesen küldünk részletes műszaki dokumentációt, és mindenben segítünk, hogy meghozza élete egyik legjobb döntését.

További adatok

Telekterület: 1 506 m2
Kert mérete: 1 506 m2
Erkély mérete: -
Felszereltség: -
Parkolás: -
Kilátás: panorámás
Egyéb extrák:  
-

Hirdető adatai

Hirdető neve: Rock Home
Kapcsolattartó: Balogh Csaba
Hirdető telefonszáma: +36 70 412 5733
Honlap: -