Ház
Origó
HázOrigoval pont a központban

Pest megye, Dunakeszi


 

Ingatlan adatai

Irányár: 8 437 354 Ft/hó
Típus: kereskedelmi/ipari ingatlan
Kategória: kiadó
Alapterület: 4 840 m2
Fűtés: -
Állapota: -
Szobák száma: -
Építés éve: -
Szintek száma: -

Részletes leírás

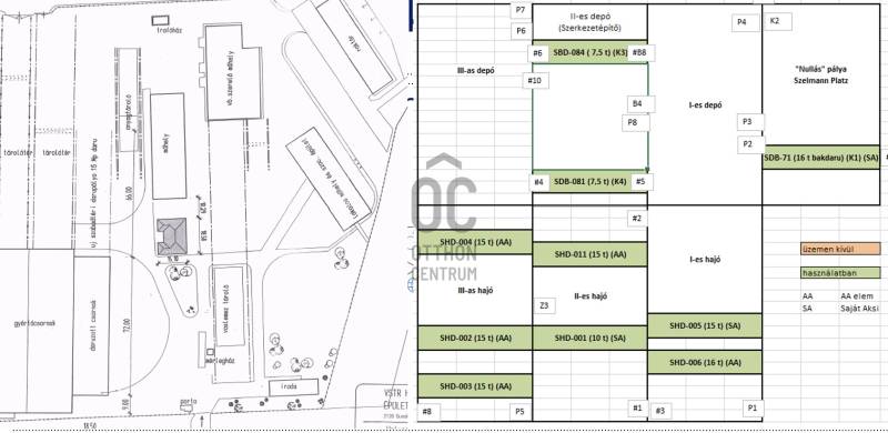
Kiadó raktárak Dunakeszin Ipari Parkban közel az M0-es autópályához és a 4-es főúthoz.A PARK 400 m-re található a 2-es főúttól és 4 km-re az M0-ás autópályától, ahonnan a Belváros, illetve a többi autópálya hamar és egyszerűen elérhető.A több mint 4 ha-os telken 3 db darukkal (10 t, 15 t, 16 t) ellátott csarnok és 4 db külső daruzható tárolóterület (7,5 t, 16 t) bérbeadó.Épületek méretei:- 2x1.370nm, 2.100 nm-es raktárak,- 2x220nm-is iroda.Külső tárolóterületek méretei: 3.861 nm, 1.804 nm, 2.739 nm, 1.628 nm.A csarnokokhoz szintbeli kapuk tartoznak.Műszaki paraméterek:- Legkisebb bérelhető egység: 1.370 nm;- Belmagasság: 10 m;- Emelőmagasság: 8,3 m;- Headline raktár bérleti díjak: 4,5 €/nm;- Külső daruzható depó bérleti díja: 1,5 €/nm;- Iroda bérleti díjak: 4,5 €/nm;- Üzemeltetési díjak: megbeszélés alapján- Ipari áram: 10KV/0,4KV 400A - Fűthető irodák.- Összesen 11 db személygépkocsinak és 2-3 db kamionnak van parkolóhely.A fenti hirdetési ár 4.840 nm raktárra vonatkozik.Az árak nettó árak, melyeket további áfa terhel.Érdeklődés esetén, illetve amennyiben egyedi specifikációkra, vagy nagyobb csarnokra lenne szüksége, lépjen kapcsolatba velünk!

További adatok

Telekterület: -
Kert mérete: -
Erkély mérete: -
Felszereltség: -
Parkolás: -
Kilátás: -
Egyéb extrák:  
-

Hirdető adatai

Hirdető neve: Otthon Centrum
Kapcsolattartó: Heim Dávid
Hirdető telefonszáma: +36 70 412 5811
Honlap: -