Ház
Origó
HázOrigoval pont a központban

Heves megye, Gyöngyössolymos


 

Ingatlan adatai

Irányár: 269 990 000 Ft
Típus: ház
Kategória: eladó
Alapterület: 186 m2
Fűtés: egyéb
Állapota: -
Szobák száma: 5
Építés éve: 2012
Szintek száma: -

Részletes leírás

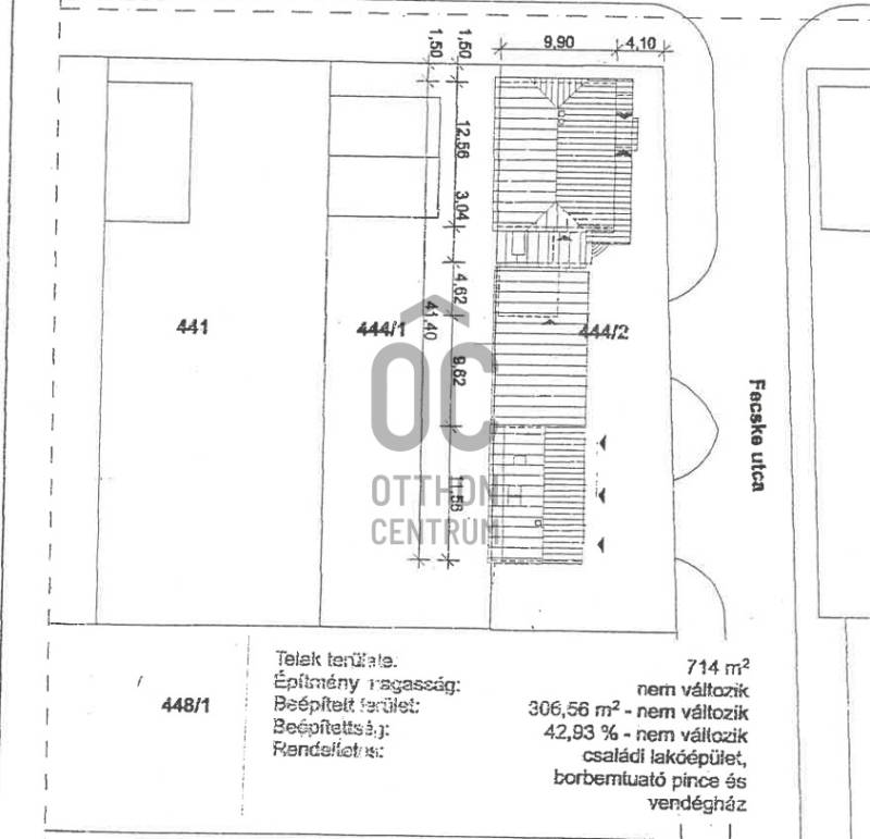
Eladó ingatlan Gyöngyössolymoson – Egyedi családi ház, boltíves borospince és vendéglátóhely!Fedezze fel Gyöngyössolymos szívében ezt a különleges lehetőséget! Egy 186 m²-es családi ház és egy 350 m²-es, hagyományos boltíves borospince várja új tulajdonosát, amely tökéletes otthon, valamint kiváló üzleti lehetőség is egyben.Az ingatlan főbb jellemzői:Családi ház:-Tágas, jól megtervezett otthon, amely ideális családok számára.-Fűtésről korszerű faelgázosító kazán gondoskodik, a nyári melegekben pedig légkondicionáló biztosítja a komfortot.-Modern, szigetelt téglaépület, melyet 2012-ben korszerűsítettek.-Fa szigetelt nyílászárók, 10 cm-es szigetelés és cseréptető.Borospince és vendéglátóhely:-Autentikus, boltíves borospince, amely exkluzív rendezvények, borfesztiválok, baráti összejövetelek vagy egyedi vendéglátóhely kialakítására is alkalmas.-A pince fölött további apartmanok kialakítására is van lehetőség.-Az ingatlanhoz egy 9 méter mély ásott kút tartozik, amely biztosítja a borászat és a ház vízigényét.Elhelyezkedés és környezet:Az ingatlan a Mátra lankáinak ölelésében, természetközeli, nyugodt környezetben helyezkedik el, mégis könnyen elérhető Gyöngyös és a környező városokból. A környék szőlőtermesztő hagyománya és természeti szépsége tovább növeli az ingatlan értékét.Miért érdemes ezt választani?Ez az ingatlan ideális választás lehet:-Családok számára, akik egy kényelmes és jól felszerelt otthont keresnek.-Vállalkozóknak, akik exkluzív vendéglátó- vagy szórakoztatóipari helyszínt szeretnének.-Borászat iránt érdeklődőknek, akik autentikus pincészetet keresnek.-Tehermentes.Fontos információ: A borászati eszközök nem képezik az eladási ár részét. Az ingatlan tehermentes, és azonnal birtokba vehető!#EladóIngatlan #Gyöngyössolymos #CsaládiHáz #Borospince #VendéglátóHely #ÜzletiLehetőség #Mátra #Borászat #ExkluzívIngatlan #CsaládiFészek #ModernOtthon #TermészetközeliÉlet #Rendezvényhelyszín

További adatok

Telekterület: 714 m2
Kert mérete: 714 m2
Erkély mérete: 20 m2
Felszereltség: -
Parkolás: -
Kilátás: -
Egyéb extrák:  
-

Hirdető adatai

Hirdető neve: Otthon Centrum
Kapcsolattartó: Ungvári Bernadett
Hirdető telefonszáma: +36 70 716 9896
Honlap: -